#강진마량뉴썬더호 #빅게임 #타이라바 #문어 #쭈꾸미 #출조일정 #출조문의 #010-8598-5965_최선장 #강진마량뉴썬더호 12월15일 #쭈꾸미 조황금일 8분의 조사님 모시고 출조 다녀왔습니다.오랜만에 출조라 기댐반 설렘반입니다. 포인트 도착사이즈는 섞여 나오네요. 알쭈가 대부분입니다.말그대로 느나느나도 있었고 약간에 소강상태도있었지만 꾸준하게 나와주었습니다.개인별 차이는 있으나 대부분 충분하게 ~~~드실만큼 잡고 철수했습니다. 감사합니다https://sseondeo.sunsang24.com/==== 뉴썬더호 예약안내 ====예약문의 : 010-8598-5965오시는길 : 전라남도 강진군 마량면 마량리 983-31홈페이지 : http://sseondeo.sunsang24.com/
#강진마량뉴썬더호 #빅게임 #타이라바 #문어 #쭈꾸미 #출조일정 #출조문의 #010-8598-5965_최선장 #강진마량뉴썬더호 11월28일 #쭈꾸미 조황금일 정원에 조사님 모시고 출조 다녀왔습니다어제 바람에 여파인지 새벽까지도 파도가 .,어느정도 있네요. 깊은수심에 포인트인지라입질 파악에 어려움을 겪는 조사님들이 상당수있으셨습니다. 물때 깡패인데 아쉬움이 많은하루였습니다.개인별 조과차이가 있는 하루여서너무나도 아쉬웠습니다. 그래도 드실만큼은잡고 철수하였습니다. 감사합니다https://sseondeo.sunsang24.com/==== 뉴썬더호 예약안내 ====예약문의 : 010-8598-5965오시는길 : 전라남도 강진군 마량면 마량리 983-31홈페이지 : http://sseondeo.sunsang24.com/
#강진마량뉴썬더호 #빅게임 #타이라바 #문어 #쭈꾸미 #출조일정 #출조문의 #010-8598-5965_최선장 #강진마량뉴썬더호 11월24일 #빅게임 조황당분간 타이라바보단 빅게임 위주로 출항합니다금일 소수인원 모시고 출조 다녀왔습니다.포인트 진입과 동시에 여기저기 히트히트~~찐한 손맛에 여기저기 탄성이 절로 나오네요중방. 대방 골고루 나와주었습니다.오늘하루 몸맛 손맛 두루두루 즐기고 더이상담을곳이 없어 1시에 조기철수 했습니다.감사합니다~https://sseondeo.sunsang24.com/==== 뉴썬더호 예약안내 ====예약문의 : 010-8598-5965오시는길 : 전라남도 강진군 마량면 마량리 983-31홈페이지 : http://sseondeo.sunsang24.com/
#강진마량뉴썬더호 #빅게임 #타이라바 #문어 #쭈꾸미 #출조일정 #출조문의 #010-8598-5965_최선장 #강진마량뉴썬더호 11월19일 #문어 조황금일 15분의 조사님 모시고 출조 다녀왔습니다.예보와 다르게 바람도 탱탱불고 쌀쌀한 날씨에큰걱정이 앞섰지만 막상 포인트 도착하니...예상과는 다르게 사이즈좋은 문어가 여기저기따박따박 올라와주네요.섞여 나오긴하나꾸준히나와 주었습니다. 빠진것도 상당수 있었네요.전원 손맛들 보셨고 드실만큼 잡고 철수합니다감사합니다https://sseondeo.sunsang24.com/==== 뉴썬더호 예약안내 ====예약문의 : 010-8598-5965오시는길 : 전라남도 강진군 마량면 마량리 983-31홈페이지 : http://sseondeo.sunsang24.com/
안녕하세요 강진 마량 뉴썬더호 최선장님입니다 금일 뮨어 조항입니다 ==== 뉴썬더호 예약안내 ====예약문의 : 010-8598-5965오시는길 : 전라남도 강진군 마량면 마량리 983-31홈페이지 : http://sseondeo.sunsang24.com/
#강진마량뉴썬더호 #빅게임 #타이라바 #문어 #쭈꾸미 #출조일정 #출조문의 #010-8598-5965_최선장 #강진마량뉴썬더호 11월13일 #쭈꾸미 조황금일 정원에 조사님 모시고 출조 다녀왔습니다.포인트 수심이 조금 있는곳이라 입질 파악에어려움이 있을수 있어서 많은 아쉬움이 있네요빠진것도 상당수 있었습니다. 느나느나 타임은없었지만 꾸준하게 나와주었습니다.개인별 조과차이가 있긴했지만 드실만금은 잡고철수하였습니다. 감사합니다https://sseondeo.sunsang24.com/==== 뉴썬더호 예약안내 ====예약문의 : 010-8598-5965오시는길 : 전라남도 강진군 마량면 마량리 983-31홈페이지 : http://sseondeo.sunsang24.com/
#강진마량뉴썬더호 #빅게임 #타이라바 #문어 #쭈꾸미 #출조일정 #출조문의 #010-8598-5965_최선장 #강진마량뉴썬더호 11월12일 #쭈꾸미 조황금일 정원에 조사님 모시고 출조 다녀왔습니다.대사리 여파가 있긴하지만 물때가 물때인지라사이즈좋은 주꾸미가 꾸준하게 나와주네요.빠진것도 상당수 있지만 잘 나와주었습니다.물때 깡패일때 꾸준하게 출항해봄니다 .덤으로 갑오징어도 나와주네요.사이즈가..,조사님들충분하게 드실만큼 잡고 철수했습니다.감사합니다.https://sseondeo.sunsang24.com/==== 뉴썬더호 예약안내 ====예약문의 : 010-8598-5965오시는길 : 전라남도 강진군 마량면 마량리 983-31홈페이지 : http://sseondeo.sunsang24.com/
#강진마량뉴썬더호 #빅게임 #타이라바 #문어 #쭈꾸미 #출조일정 #출조문의 #010-8598-5965_최선장 #강진마량뉴썬더호 11월11일 #쭈꾸미 조황11월12일(수) 정상출항합니다. 감사합니다금일 18분의 조사님 모시고 출조 다녀왔습니다.초보조사님이 상당수 있으셨습니다. 수심이 깊다보니 입질 파악하는데 어려움이 다소있으셨습니다. 느나느나는 없었지만 꾸준하게나와주었습니다. 수심이 깊어 빠지는것도 다소많았습니다. 팁이 있다면 조사님들 성향일수있으나 에기보단 애자에 반응이 좀더 좋습니다입질 파악하는데도 도음이 되오니 출조하실때참고하십시요. 드실만큼잡고 철수 하였습니다감사합니다https://sseondeo.sunsang24.com/==== 뉴썬더호 예약안내 ====예약문의 : 010-8598-5965오시는길 : 전라남도 강진군 마량면 마량리 983-31홈페이지 : http://sseondeo.sunsang24.com/
#강진마량뉴썬더호 #타이라바 #빅게임 #문어 #갑오징어 #쭈꾸미 #출조문의 #010-8598-5965_최선장 #강진마량뉴썬더호 11월6일 #문어 조황금일 8분의 조사님 모시고 출조 다녀왔습니다.올해는 문어가 아직도 잘 나와주네요 ... 가는포인트마다 사이즈 좋은 문어가 따박따박 아주그냥 잘 나와주었습니다. 빠진것도 상당수 있긴하나 하루종일 지루하지않게 나와주었습니다전원 찐한 손맛들 즐기셨고 드실만큼 충분하게잡고 철수했습니다. 감사합니다https://sseondeo.sunsang24.com/==== 뉴썬더호 예약안내 ====예약문의 : 010-8598-5965오시는길 : 전라남도 강진군 마량면 마량리 983-31홈페이지 : http://sseondeo.sunsang24.com/
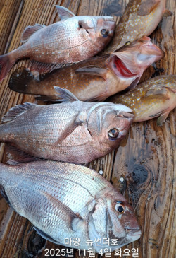
#강진마량뉴썬더호 #다잡아타이라바 #빅게임 #문어 #쭈꾸미 #출조문의 #010-8598-5965_최선장 #강진마량뉴썬더호 11월4일 #다잡아타이라바 금일 소수인원 모시고 출조 다녀왔습니다~첫출조인지라 걱정반 기대반입니다. 첫포인트~여기저기 히트히트~~ 잘나와주네요.붉바리 참돔 등등~ 다양하게 올라와줍니다~2025년 첫빠가 등장~~ 손맛하난 끝내주네요터지고 빠져도 계속해서 올라오니 즐기면서낚시를 진행하였습니다. 전원 찐하게 손맛들보셨고 횟감 장만하고 철수하였습니다.감사합니다https://sseondeo.sunsang24.com/==== 뉴썬더호 예약안내 ====예약문의 : 010-8598-5965오시는길 : 전라남도 강진군 마량면 마량리 983-31홈페이지 : http://sseondeo.sunsang24.com/
#강진마량뉴썬더호 #빅게임 #다잡아타이라바 #문어 #쭈꾸미 #외수질 #출조문의 #010-8598-5965_최선장 #강진마량뉴썬더호 11월2일 #문어 조황전체적인 조황사진은 찍지 못하였습니다~~금일 정원에 조사님 모시고 출조 다녀왔습니다.출항전부터 바람과 너울이 상당합니다. 한정된포인트속에 낚시를 진행하였습니다. 원하던포인트는 거짐 진입을 못하고 그나마 바람을피하는곳에서 낚시를 진행하여서 아쉬움이 많이 남았습니다. 그래도 전원 손맛들은 다보셨고 드실만큼은 잡고 철수 하였습니다. 오늘하루 고생 많으셨습니다. 감사합니다https://sseondeo.sunsang24.com/==== 뉴썬더호 예약안내 ====예약문의 : 010-8598-5965오시는길 : 전라남도 강진군 마량면 마량리 983-31홈페이지 : http://sseondeo.sunsang24.com/
#강진마량뉴썬더호 #빅게임 #돌돔덜덜이 #타이라바 #쭈꾸미 #문어 #출조문의 #010-8598-5965_최선장 #강진마량뉴썬더호 10월30일 #쭈꾸미 조황11월1일부터 꾸준하게 정상출항합니다~~금일 13분의 조사님 모시고 출조 다녀왔습니다.오랜만에 출조인지라 걱정반 기대반으로 출항~첫포인트부터 꾸준하게 느나느나입니다~ 사이즈도좋고 마릿수도 잘나와주었습니다.갑오징어 사이즈도 아주 좋았습니다요~~전원 충분하게 드실만큼잡고 철수합니다. 감사합니다https://sseondeo.sunsang24.com/==== 뉴썬더호 예약안내 ====예약문의 : 010-8598-5965오시는길 : 전라남도 강진군 마량면 마량리 983-31홈페이지 : http://sseondeo.sunsang24.com/
10월19일 문어 조항금일 정원 모시고 돌문어 출조했네요 바람이 불어서 한정된 포인트에서 낚시 했습니다개인의 조가 차이가 조금 있는 하루입니다 그러나 전원 충분히 먹을만큼 잡고 철수하였습니다 감사합니다 항상 최선을 다하는 뉴썬더호가 되겠습니다 #문어==== 뉴썬더호 예약안내 ====예약문의 : 010-8598-5965오시는길 : 전라남도 강진군 마량면 마량리 983-31홈페이지 : http://sseondeo.sunsang24.com/
10월18일 쭈꾸미 조항금일 정원 모시고 쭈꾸미 출조했네요.바람 속에 다들 너무너무 고생들 하셨습니다.큰 기복 없이 전원 먹을 만큼 잡고 철수합니다.항상 최선을 다하는 뉴썬더호가 되겠습니다감사합니다. #쭈꾸미==== 뉴썬더호 예약안내 ====예약문의 : 010-8598-5965오시는길 : 전라남도 강진군 마량면 마량리 983-31홈페이지 : http://sseondeo.sunsang24.com/
#강진마량뉴썬더호 #쭈꾸미 #빅게임 #타이라바 #문어 #출조일정 #출조문의 #010-8598-5965_최선장 #강진마량뉴썬더호 10월16일 #쭈꾸미 조황쭈꾸미 황금물때 꾸준하게 출항합니다요~금일 19분의 조사님 모시고 출조 다녀왔습니다.하루종일 바람이 바람이 아주그냥 오지게도불어주네요. 그란데도 쭈꾸미는 아주 그냥잘 나와주었습니다. 수심이 약간 있는곳이라빠지기도 하나 꾸준하게 잘나와주었습니다.금일도 거짐 충분하게 드실만큼 잡고 기분좋게철수합니다. 감사합니다https://sseondeo.sunsang24.com/==== 뉴썬더호 예약안내 ====예약문의 : 010-8598-5965오시는길 : 전라남도 강진군 마량면 마량리 983-31홈페이지 : http://sseondeo.sunsang24.com/
#강진마량뉴썬더호 #갈치생미끼 #빅게임 #문어 #쭈꾸미 #출조일정 #출조문의 #010-8598-5965_최선장 #강진마량뉴썬더호 10월14일 #쭈꾸미 조황금일 소수인원 모시고 출조 다녀왔습니다.물때가 아주 좋고 기상도 좋아서인지 사이즈좋은 쭈꾸미가 꾸준하게 나와 주었습니다.갑오징어는 덤으로 간간히 나와주었고 피딩은없어도 쉬지않고 따박따박 잘 나와주었습니다전원 충분하게 드실만큼 잡고 철수하였습니다.감사합니다https://sseondeo.sunsang24.com/==== 뉴썬더호 예약안내 ====예약문의 : 010-8598-5965오시는길 : 전라남도 강진군 마량면 마량리 983-31홈페이지 : http://sseondeo.sunsang24.com/
10월12일 문어조항10월13일이후 쭈꾸미 출항합니다금일 18분 조시님 모시고 출조했네요 개인의 조항 차이가 심하게 나는 하루입니다 그러나 전원 손맛 보셨고 철수합니다 감사합니다 앞으로 더욱 열심히 하는 썬더호가되겠습니다 #문어==== 뉴썬더호 예약안내 ====예약문의 : 010-8598-5965오시는길 : 전라남도 강진군 마량면 마량리 983-31홈페이지 : http://sseondeo.sunsang24.com/
#강진마량뉴썬더호 #갈치생미끼 #문어 #쭈꾸미 #외수질 #출조일정 #출조문의 #010-8598-5965_최선장 #강진마량뉴썬더호 9월29일 #문어 조황9월30일.10월1일 갈치외줄 정상출항합니다~금일 소수인원 모시고 출조다녀왔습니다.선선하니 낚시하기도 아주좋습니다. 금일은포인트를 멀리 잡지않고 가까운곳 위주로 하여낚시를 진행했습니다.그런데 조류가 약해서인지그제와는 다르게 사이즈가 조금 아쉬웠습니다.갑돌이 사이즈는 아주 좋네요.... 조사님들손맛보셨고 충분하게 드실만큼 잡고 기분좋게철수합니다. 감사합니다https://sseondeo.sunsang24.com/==== 뉴썬더호 예약안내 ====예약문의 : 010-8598-5965오시는길 : 전라남도 강진군 마량면 마량리 983-31홈페이지 : http://sseondeo.sunsang24.com/
#강진마량뉴썬더호 #갈치생미끼 #문어 #외수질 #쭈꾸미 #출조일정 #출조문의 #010-8598-5965_최선장 #강진마량뉴썬더호 9월27일 #문어 조황금일 15분의 조사님 모시고 출조 다녀왔습니다.이제는 낚시도 하기 딱 좋은 날씨인데 바람이쬠 불긴하나 낚시하기에는 불편함이 없기에포인트에 진입이 좋았습니다. 사이즈는 섞여나오긴하나 대체적으로 좋았습니다. 빠지는것도상당수 있긴하나 대체적으로 호조황으로 입항하였습니다. 명절전까지 전반적으로 문어위주로출항할 예정입니다~ 감사합니다https://sseondeo.sunsang24.com/==== 뉴썬더호 예약안내 ====예약문의 : 010-8598-5965오시는길 : 전라남도 강진군 마량면 마량리 983-31홈페이지 : http://sseondeo.sunsang24.com/
#강진마량뉴썬더호 #문어 #갈치생미끼 #외수질 #출조일정 #출조문의 #010-8598-5965_최선장 #강진마량뉴썬더호 9월21일 #문어 조황금일 정원에 조사님 모시고 출조 다녀왔습니다.첫포인트로 이동~~ 바람이 탱탱불어오네요한정된 포인트속에 그나마 좋은포인트를 찾아손맛을 보았습니다. 빠진것도 상당수 있었네요사이즈가 섞여 나오긴하나 대체적으로 좋은사이즈였습니다. 개인별 조과차이가 있긴하나전원 드실만큼잡고 철수했습니다. 감사합니다https://sseondeo.sunsang24.com/==== 뉴썬더호 예약안내 ====예약문의 : 010-8598-5965오시는길 : 전라남도 강진군 마량면 마량리 983-31홈페이지 : http://sseondeo.sunsang24.com/
9월1일 쭈꾸미 조항 입니다금일 정원 모시고 쭈꾸미 출조했네요 개인의 조가 차이는 있지만.먹을 만큼 잡고 철수합니다내일도 정장 출조합니다.오늘 너무 고생들 하셨습니다가시는 곳까지 안전 운전하세요. #쭈꾸미==== 뉴썬더호 예약안내 ====예약문의 : 010-8598-5965오시는길 : 전라남도 강진군 마량면 마량리 983-31홈페이지 : http://sseondeo.sunsang24.com/
8월28일 갈치생미끼 입항 조항입니다간밤에 조금의 어장사고가 있었으나 전원 먹을 만큼 작고 철수합니다.8월29일 갈치생미끼 여유자리 동행출조하실분연락주세요 오늘도 너무 고생들 하셨습니다. #갈치생미끼==== 뉴썬더호 예약안내 ====예약문의 : 010-8598-5965오시는길 : 전라남도 강진군 마량면 마량리 983-31홈페이지 : http://sseondeo.sunsang24.com/
안녕하세요 강진마량 뉴썬더호 최선장님입니다 8월27일 갈치생미끼 출조모집합니다 동행출조하실분연락주세요 출조문의. 010.8598 5965==== 뉴썬더호 예약안내 ====예약문의 : 010-8598-5965오시는길 : 전라남도 강진군 마량면 마량리 983-31홈페이지 : http://sseondeo.sunsang24.com/
8월24일 외수질 입항조항입니다 말이 필요 없네요 .많은 양은 아니지만 전원 먹을 만큼 잡고 철수하였습니다가시는 길 운전 하십시오감사합니다. #외수질==== 뉴썬더호 예약안내 ====예약문의 : 010-8598-5965오시는길 : 전라남도 강진군 마량면 마량리 983-31홈페이지 : http://sseondeo.sunsang24.com/
8웧23일 외수질 입항조항입니다금일 소수인원 모시고 출조했네요말이 필요 없네요. 전원 먹을 만큼 잡고 철수합니다내일도 정상출조합니다 동행출조하실분연락주세요 #외수질==== 뉴썬더호 예약안내 ====예약문의 : 010-8598-5965오시는길 : 전라남도 강진군 마량면 마량리 983-31홈페이지 : http://sseondeo.sunsang24.com/
8월28일 외수질 입항조항입니다금요일 소수인원 모시고 출조했네요 전원 농어.광어.참돔.붉발이 다양한 어종이 나와 주었습니다내일도 정상출조합니다 동행출조하실분연락주세요 #외수질==== 뉴썬더호 예약안내 ====예약문의 : 010-8598-5965오시는길 : 전라남도 강진군 마량면 마량리 983-31홈페이지 : http://sseondeo.sunsang24.com/
#강진마량뉴썬더호 #갈치생미끼 #외수질 #문어 #출조일정 #출조문의 #010-8598-5965_최선장 #강진마량뉴썬더호 8월21일 갈치입항조황금일 7분의 조사님 모시고 출조 다녀왔습니다오랜안에 갈치출조~ 설렘반 기대반이네요~꾸준하게 갈치가 나와 주었습니다. 사이즈도섞여 나오긴하지만 대체적으로 사이즈가 아주좋았습니다. 개인별 조과차이는 있지만 전원드실만큼은 잡고 철수했습니다. 감사합니다https://sseondeo.sunsang24.com/==== 뉴썬더호 예약안내 ====예약문의 : 010-8598-5965오시는길 : 전라남도 강진군 마량면 마량리 983-31홈페이지 : http://sseondeo.sunsang24.com/
#강진마량뉴썬더호 #갈치생미끼 #외수질 #문어 #출조일정 #출조문의 #010-8598-5965_최선장 #강진마량뉴썬더호 8월19일 #외수질 조황다음 외수질 출조는 8월22일(금)입니다~금일 14분의 조사님 모시고 출조 다녀왔습니다.첫포인트 도착후 여기저기 히트히트~~ 손맛보기엔 좋은 사이즈가 올라와 주네요. 입질이예민한지 챔질이 약간만 빨라도 훅킹이 되질않는 상황이네요. 빠진것이 너무나도 많은 상황이었습니다. 아쉬움이 많이 남는 하루였습니다손질하신 조사님들이 많아 전체적인 조황사진을찍지 못했습니다. 전원 드실만큼잡고 철수를했습니다. 감사합니다https://sseondeo.sunsang24.com/==== 뉴썬더호 예약안내 ====예약문의 : 010-8598-5965오시는길 : 전라남도 강진군 마량면 마량리 983-31홈페이지 : http://sseondeo.sunsang24.com/
8월17잉 외수질 조항입니다 금일 16분 모시고 출조핸네요 먹을 만큼 잡고 손맛 보셨네요가신는 곳까지 안전운전 하세요 감사합니다 8월19일 외수질 화요일 출조모집합니다 #외수질==== 뉴썬더호 예약안내 ====예약문의 : 010-8598-5965오시는길 : 전라남도 강진군 마량면 마량리 983-31홈페이지 : http://sseondeo.sunsang24.com/
8월15일 외수질 입항 조항입니다 내일도 정상 출조합니다동행출조하실분연락주세요 #외수질==== 뉴썬더호 예약안내 ====예약문의 : 010-8598-5965오시는길 : 전라남도 강진군 마량면 마량리 983-31홈페이지 : http://sseondeo.sunsang24.com/





























